| Mackenzie House | |
|---|---|
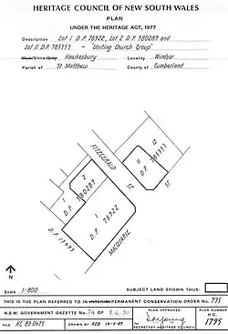
![]() Heritage boundaries  | |
| Location | 29 Fitzgerald Street, Windsor, City of Hawkesbury, New South Wales, Australia | 
| Coordinates | 33°36′27″S 150°49′15″E / 33.6075°S 150.8208°E | 
| Official name | Mackenzie House; Uniting Church Group | 
| Type | State heritage (built) | 
| Designated | 2 April 1999 | 
| Reference no. | 735 | 
| Type | House | 
| Category | Residential buildings (private) | 
![]() Location of Mackenzie House in Sydney  | |
Mackenzie House is a heritage-listed house located at 29 Fitzgerald Street, Windsor, City of Hawkesbury, New South Wales, Australia. It was added to the New South Wales State Heritage Register on 2 April 1999.[1]
History
Mackenzie House was built c. 1915. At one stage it was used to house the rector of the adjacent Windsor Uniting Church.[2]
It now houses a psychology and psychiatry practice.[3]
Heritage listing
Mackenzie House was listed on the New South Wales State Heritage Register on 2 April 1999.[1]
References
- 1 2  "Mackenzie House". New South Wales State Heritage Register. Department of Planning & Environment. H00735. Retrieved 13 October 2018. 
 Text is licensed by State of New South Wales (Department of Planning and Environment) under CC-BY 4.0 licence. - ↑ "Windsor Heritage Walk" (PDF). Retrieved 30 October 2018.
 - ↑ "Mackenzie House Specialist Centre". Retrieved 30 October 2018.
 
Bibliography
- Nichols, Michelle (Local Studies Librarian) (2010). Macquarie and the Hawkesbury District.
 
Attribution
 This Wikipedia article was originally based on Mackenzie House, entry number 735 in the New South Wales State Heritage Register published by the State of New South Wales (Department of Planning and Environment) 2018 under CC-BY 4.0 licence, accessed on 13 October 2018. 
.jpg.webp)
